Camp Douglas
Life Span: 1861-1865
Location: Thirty-first Street and Cottage Grove Avenue
Architect: NA
A prison camp for captured Confederates was established in Chicago, consisting of sixty acres of land formerly owned by Stephen A. Douglas. This acreage was located south of Thirty-first Street and Cottage Grove Avenue. It was named Camp Douglas and was one of four large prison camps in Northern Illinois. It was operated from 1862 until the end of the Civil War.
In these camps, in the summer of 1864, were confined more than 25,000 Confederate soldiers, distributed as follows:
- Chicago – 8,000
Springfield – 7,554
Rock Island – 6,000
Alton – 5,000
Chicago Tribune, September 30, 1861
The New Camp Douglas.
After a careful canvass of claims and localities competing for the same, the location of the new General Camp for this city has been fixed for the old United States Fair Grounds at Cottage Grove, where the camps of the four regiments now in the city are at once to be consolidated. These are the Yates Phalanx, Col. Light, the Douglas Brigade, Col. Malmborg, the Mechanics’ Fusileers, Col. Wilson, and the new Caralry Regiment of Col. Brackett. To these sre to be added the Chicago Legion, Col. Cumminge, now ready to go into camp. In the order of Gov. Yates locating this camp at Chicago, it was designated that the counties of Lake, McHenry, Boone, Winnebago, Stephenson, Jo Daviess, Carroll,Ogle, De Kalb, Kane, Cook, Du Page, Will, Kendall, La Salle, Lee, Bureau, Whiteside, Rock Island, Henry, Grundy, Kankakee, Putnam, Iroquois, and Livingston constitute a separate Military District, to be known as the Northern District.
In the location of this camp, which is to be occupied forthwith, the most careful reference was paid to the great leading features of case of access, mature of site, extent of area, and abundant supply of water, and the same causes which made this the most admirable of Fair Grounds, are successful now. Governor Yates was efficiently represented here by Judge A. C. Fuller of Belvidere, and the trust imposed in him has been executed with excellent and close reference to public and military interests.
Of this new and important Camp, the organization of the regiments and all the affairs of which will be under the same supervision of the Governor as at Camp Butler, Colonel Joseph H. Tacker of this city his been appointed Commandant, and Milton O. Higgins Adjutant.
The subsisteace of the troops will be in charge of Col. Webb, U.S. A., these being the soldiers of the Union. Harry M. Span-ding, Eeg., of Rockford, IlL, is Quartermaster, and thus in first-rate hands these regiments will be put in the way of making excellent soldiers.
Arrangements have been made with the Illinois Central to give a new crossing, and secure ready access to the lake shore. The water to the comp will be supplied direct from city hydrants on the grounds, The City Railway Company are to carry, free, officers und soldiers on the business of the camps.
The parade and drill grounds of this camp, which has been fitly christened Camp Douglas, will be of the best character, ample, level and dry. In fact, we see nothing left to be desired but that the boys “fall in” as rapidly as possible and fill up these now regiments, the juxtaposition of which in the same camp will give the abundant fruits of generous emulation in all points of drill and order, and progress in all that is soldierly. From what we can learn, the troops will come in rapialy, and there could not be a better place of rendezvous.

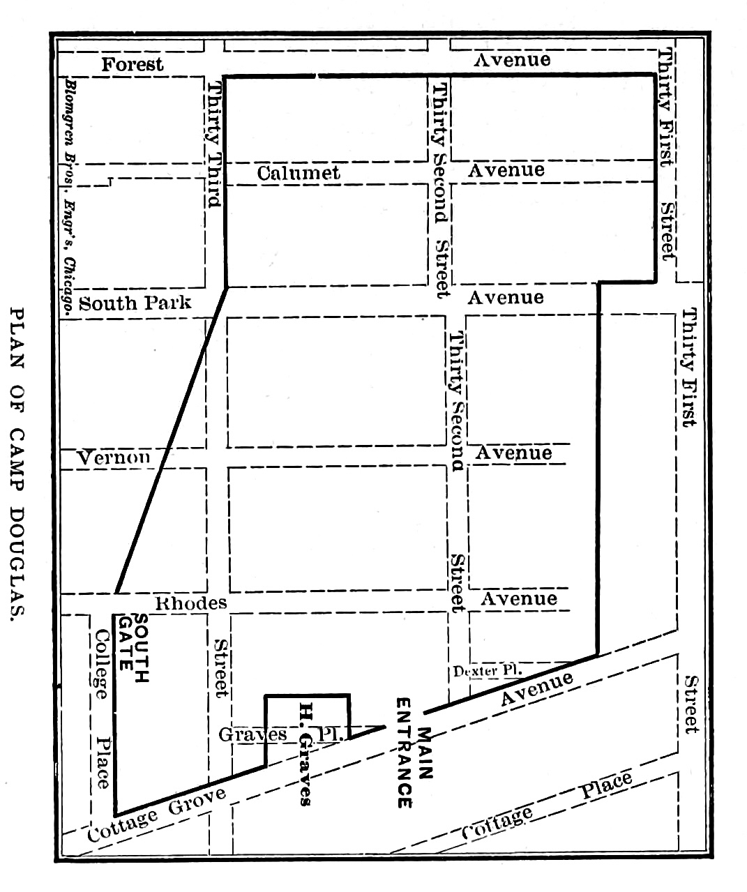
- Plan of Camp Douglas
1864
Chicago Tribune, May 13, 1862
Camp Douglas.
Nothing worthy of public interest has transpired at Camp Douglas, within the last forty-eight hours, worthy of notice. The Federal troops are “put through” in drilling with renewed vigor.
Some Yankee at Cottage Grove appreciates the weaknesses of our citizens. We have stated several times, and a large share of the public know the fact, that an inside view of Camp Douglas is now unattainable, except to those who belong there. Under these circumstances a live Yankee is erecting, just a few feet South of the hotel, a square tower some fifty of sixty feet high. The top of this tower gives a complete “inside” view of the Camp, and to this privilege the owner proposes to admit all who are willing to pay the necessary fee. There is a nice little fortune in this enterprise.
Two of our Illinois soldiers died in Camp on Saturday and Sunday—John Cloonan, Co. B, 23d Illinois, (Irish Brigade,) and John Sullivan, Co. E, 65th regiment. Sullivan was buried yesterday, and Cloonan will be to-day.
The following are the deaths among the prisoners for the past forty-eight hours:
- Webster McCarroll, Co. G, 18th Louisiana
Samuel Thomae, Co. H, 11th Arkansas
F. E. Drinkard, Co. B, let Tennessee
J. W. Watson, Co. A, 11th, Arkansas
J. H. Rolph, Co. C, 3d Mississippi
J. H. Lewis, Co. E, 11th, Arkansas
J. R. Miller, Co. A, 11th Arkansas.
J. W. Mason, Co. K, 12th Arkansas
R. H. Jones, Co. B, 1st Tenn, Miss., and Ark.
G. Snodgrass, Murray’s Artillery
A. J. McDonald, Co. B, 11th Arkansas.
B. Stewart, Murray’s Artillery.
Previouely reported 312
Total Deaths 324
It will be seen that five of the above deaths were members of the 11th Arkansas regiment. These were mostly patients lately sent here from the St. Louis hospital. There are about 315 patients in the hospital.
Chicago Tribune, October 21, 1861
CAMP DOUGLAS.-The organization of the new Camp of Instruction at Cottage Grove is progressing rapidly. The barracks are all finished except those on the west side of the grounds, which are to be occupied by the Mechanics’ Fusileers, Col. Wilson. The officers’ quarters and commissary department are also completed and in readiness for occupancy. Col. Bracket’s Cavalry Regiment, Hartmann’s Dragoons, and detached portions of the 51st and 53d regiments, and the Mechanics’ Fusileers are already upon the grounds. The Second Regiment of the Douglas Brigade will go into camp there today (Monday.) Much credit is due to Col. Tucker for the very excellent manner in which he has supervised the organization of this Important camp.
The Douglas Guard.-Capt. Morrison, of this city, formerly of the New York 69th Regiment and Merican war experience, has commenced raising a company called the Douglas Guards, which will go into Camp Douglas as fast as recruited. The recruiting othees are at the corner of Milwaukee avenue and Hasted street, corner of Clark and Randolph streets, and No. 14 North Clark street.

Chicago Tribune, November 12, 1863
Between one and two o’clock yesterday afternoon, a fire broke out in the officer’s barracks of Co.D, of the Invalid Corps-the ire taking probably from a stove pipe-there being no one in the barracke at the time the fire occurred. The wind was blowing a strong gale from the westward, and swept the flames with great rapidity along the tinder-like building, until between five and six hundred feet of the barracks in the northeast corner of the enclosure were consumed, together with nearly 1,000 feet of the new fence, just completed.
Among the losses, besides the buildings, &c., are all the guns and equipments belonging to Co. D, except five, and much of the property belonging to Co. B. Mrs. Finley, who had a sutler’s store in this line of buildings, lost her stock of goods, worth about $100, and some $1,100 in greenbacks, and narrowly escaped from being burned herself, in the effort to save her property.
The loss to the Government will be about $3,500—the total lose, say 85,000.
As soon as the fire broke out, the prisoners manifested a disposition to take advantage of what they considered’s capital opportunity to escape; but Col, DeLand, with his usual coolness and foresight, at once armed additional guards and stationed them at all exposed points, and ordered the prisoners into their barracks; some of the more reckless of Morgan’s men declined going, but giving the orders, ” ready-aim,” the secesh1 concluded it was time to leave before they were fired into, and they scattered for their quarters in “double-quick.”
This was an exciting time at Camp Douglas—and the boys in blue had their hands full to check the raging element, and the raging secesh at the same instant, but they accomplished it with a remarkably slight lose, considering the circumstance. It is only a matter of surprise, that all the barracks on the eastern end of the enclosure, including the officers’ headquarters were not destroyed, as the wind was blowing so furiously and the heat so intense that the flames were communicated to the oak trees on the opposite side of the street, east of the camp-grounds; and they were still on fire at dusk last evening. There are no effective fire-engines nearer than Old street, except the little hand-engine No.9, at the Illinois Central Car Works, which is unreliable, owing to a lack in both quantity and quality of hose. There is a great need of a first-class steam fire-engine in the southern part of the city.
No prisoners are known to haye escaped but it ie possible four or five of those who were at work outside upon the fence, may have made their escape daring the excitement
The fence will be replaced by tonight and the barracks rebuilt with as little delay as possible. In the meantime an efficient guard will prevent any outbreak by the “rebs.”
Chicago Tribune, December 14, 1865
Some institutions exist, and pass away to be forgotten; others never die, but live eternally in the memory. They possess associations clinging around them. and entwined in every fibre of their existence, so closely allied to the interests of the community, that Ume only serves to mellow the interest, and clothe them with ever growing importance. Of these, not least in the minds of the citizens of Chicago, is Camp Dougias. Called into birth by the outbreak of a wicked and causeless rebellion, it rapidly increased in importance, until it became one of the great institutions which have marked the American Government as the most warlike on the face of the globe, and the nation as a people who would pass even through “the valley of the shadow of death,” to preserve their Government from foes “without, or fighting within.”
The camp is now rapidly passing away from the things that are. The Government order for its sale has been partially executed, and by the twentieth of this month the last building within the barricades will have been sold. Already many of the officers’ quarters have been removed by enterprising individuals to various localities in the city, to serve for residential and other purposes, and ere long the last erection will have been taken away, the last foot of fence torn down, and the ground turned over to its original owners.
At this point then, with the occurrences of its history fresh in the memories of all, when the camp is physically going the way of all flesh, it will not be amiss to give a detailed account of the history, uses and government of our city camp.
From the commencement of the war, an urgent necessity was felt by the local authorities for a stated camp, in which regiments could be organized and stationed until under “marching orders.” To meet this want was Camp Douglas called into existence. Previous to its location the various regiments being raised in the city were quartered at several impromptu camps distributed around the suburbs. Among these were “Camp Douglas,” (South of the present camp), “Camp Song,” “Camp Mulligan,” “Camp, Sigel,” “Camp Dunne,” “Camp Fremont,” “Camp Ellsworth,” “Camp Mather,” “Camp Webb,” and others, named for the time according to the fancy of the soldiers, in honor of officers or prominent citizens interested in raising the regiment. These. however, possessed but “local habitations” in the thoughts of the people and soon passed away to give place to
Camp Douglas.
Camp Douglas was located on the ground upon which was held the Seventh Annual Fair of the United States Agricultural Society. in September, 1859, south of them, but a little north of the present, southern limits, and just opposite the residence and last resting place of the great statesman whose name it bears. The selection of the site was made by Adjutant General Fuller, under orders from the Governor, and in its selection most careful reference can made to the many advantages it possessed for a military camp and military prison.
The camp consisted of about sixty acres enclosed, divided by inside partitions into the Prison Square consisting of twenty acres, the Hospital Square of ten acres, the Garron square of twenty acres, and the Whiteoak Square, formerly used aa a prison, of ten acres. Whiteoak Square soon gained a popularity as being the location of the prisons for prisoners, and unruly members of the garrison, but afterwards was merged into one of the other divisions. The Garrison Square was surrounded by the quarters of the officers and men, and contained a parade ground, level as a plane, and about half a mile round. This square fronted Cottage Grove avenue, and was flanked on the west and south by the Prison Square. From the time of the location the attention of the authorities was called to the necessity of erecting suitable dwellings as quarters and hospitals, and during the subsequent years the attention of Captain Eugene Roddin, A, Q. M. U. S. V., was occupied in selecting the necessary improvements and conveniences in the camp.
The following table exhibits the number of buildings in camp and their size, at the time of its dismemberment:

The whole of the work was performed by the prisoners under the direction aed surveillance of a competent detail of the garrison.
The hospitals especially were large and commodious containing accommodations, for over three hundred inmates each, and provided will all comforts for the sick.
The kitchens also were models of neatness and cleanliness worthy of the best regulated hotel or residence.

- Camp Douglas
1864
New York Times, April 30, 1865

Gen. B. SWEET has made his official report of the investigation into the conspiracy to release the rebel prisoners confined at Camp Chase, near Chicago.He says it is proved that JACOB THOMPSON, of Mississippi, Secretary of the Interior during the administration of Mr. BUCHANAN, went to Windsor, Canada, some time in May or June last, under the assumed name of Capt. CARSON, and having been supplied by the rebel government with large sums of money for the purpose, commenced operations to organize in Canada an expedition to release rebel prisoners of war at different camps in the Northwest, and aid the “Sons of Liberty.” with money and arms, to raise an insurrection, especially in the States of Illinois and Indiana, against the Government of the United States.
About the 25th day of August last an expedition was organized at Toronto, Canada, under the immediate direction of Capt. HINES, formerly of MORGAN’s command, composed of one hundred and fifty to two hundred escaped prisoners and rebel soldiers, accompanied by Col. G. ST. LEGER GRENFELL, at one time MORGAN’s Chief of Staff, and afterward Inspector-General on the staff of Gen. BRAGG; Col. VINCENT MARMARUKE, of Missouri; Col. BEN. ANDERSON, of Kentucky; Captains CASTLEMAN and CANTRILL, formerly of MORGAN’s command, and other rebel officers. This force was armed with pistols at Toronto, divided, and its members, in citizen’s dress, came to Chicago, by different routes, in the same trains which brought the thronging thousands who assembled on the 29th of August to attend the Chicago Convention, and which made it difficult to detect their presence.
It was to have been assisted by large numbers of “Sons of Liberty” and other guerrillas, who came armed to that convention, gathered from Kentucky, Missouri, Indiana and Illinois, and were to be under the immediate command of Brig.-Gen. CHAS. WALSH, of the “Sons of Liberty.”
The presence of these officers and men for that purpose was suspected by the government, and reinforcements were made to the garrison at Camp Douglas, which thwarted the expedition, and its members dispersed, some of the rebel officers and soldiers to Canada, others to Kentucky, and yet others to southern Indiana and Illinois, and the “Sons of Liberty” and guerrillas to their respective homes, to await a signal for the general uprising which, it was determined, should soon take place in the States of Illinois and Indiana against the government.
The danger supposed to be passed, the reinforcements sent to this garrison were ordered elsewhere, leaving barely force enough, with the most rigid economy in the use of officers and enlisted men to guard the prisoners of war, and perform other necessary duties at this post.
About the first of November another expedition of like character was organized in Canada, to be commanded by Capt. HINES, and composed of the same elements as that which had failed at the time of the Chicago Convention. It was determined that the attempt should be made about the period of the Presidential election, and the night of that day was finally designated as the time when the plot should be executed.
During the canvass which preceded the election, the “Sons of Liberty,” a secret organization, within, and beyond all doubt unknown to the better portion and majority of the Democratic party, has caused it to be wildly proclaimed and believed that there was an intention on the part of the government, and great danger that such intention would be carried into effect, to interfere by military force at the polls, against the Democratic party, as an excuse under which to arm themselves, as individuals, and had also obtained and concealed at different places in this city, arms and ammunition for themselves and the rebel prisoners of war, when they should be released.
On the evening of the 5th day of November, it was reported that a large number of persons of suspicious character had arrived in the city from Fayette and Christian counties, in Illinois, and that more were coming.
On Sunday, the 6th day of November, late in the afternoon, it became evident that the city was filling up with suspicious characters, some of whom were prisoners of war, and soldiers of the rebel army, that Capt. HINES, Col. GENFELL, and Col. MARMADUKE were here to lead, and that Brig.-Gen. WALSH, of the “Sons of Liberty,” had ordered large numbers of members of that order, from the Southern portion of Illinois, to cooperate with them.
Adopting measures which proved effective to detect the presence and identify the persons of the officers and leaders, and ascertain their plans, it was manifest that they had the means of gathering a force considerably larger than the little garrison then guarding between eight and nine thousand prisoners of war at Camp Douglass, and that, taking advantage of the excitement and the large number of persons who would ordinarily fill the streets on election night, they intended to make a night attack on and surprise this camp, release and arm the prisoners of war, cut the telegraph wires, burn the railroad depots, seize the banks and stores containing arms and ammunition, take possession of the city, and commence a campaign for the release of other prisoners of war in the States of Illinois and Indiana, thus organizing an army to effect and give success to the general uprising so long contemplated by the “Sons of Liberty.”
The whole number of troops for duty at Camp Douglas on that day was as follows:

The election was to take place on Tuesday, the 8th. two days thereafter.
By deferring action till the night of Monday, the 7th inst., probably all the officers and leaders, and many more of the men and arms of the expedition might have been captured, and more home rebels exposed; but such delay would have protracted the necessary movements and attending excitement into the very day of the Presidential election.
The great interests involved would scarcely justify taking the inevitable risks of postponement.
Sending a dispatch, dated 8:30 o’clock P.M. Nov. 6, by messenger over the railroad to Brig.-Gen. JOHN COOK, commanding the District of Illinois, a copy of which, numbered one, is annexed to, and made a part of this report, the following arrests were made during the night.
Col. G. St. Leger Grenfell, and J.T. Shanks, an escaped prisoner of war, at the Richmond House; Col. Vincent Marmaduke, at the house of Dr. E.W. Edwards, No. 70 Adams-street; Brig.-Gen. Charles Walsh, of the “Sons of Liberty;” Capt. Cantrill, of Morgan’s command, and Charles Traverse, rank unknown, probably an officer under an assumed name, at the house of Gen. Walsh; Judge Buckner S. Morris, Treasurer of the “Sons of Liberty,” at his house, No. 6 Washington-street; also capturing at the same time in Walsh’s house, about thirty rods from Camp Douglas, arms and ammunition, as per annexed schedule, numbered two. The shot guns were all loaded with cartridges, composed of from nine to twelve largest-sized buckshot, and capped. The revolvers, (Joslyn’s patent 10-inch barrel,) also loaded and capped; reporting to Brig.-Gen. John Cook, commanding District of Illinois, and Col. William Hoffman, Commanding-General of prisoners, by telegraphic dispatch, dated Camp Douglas. Nov. 7, at 4 o’clock A.M., a copy of which is hereto annexed, numbered three, made a part of this report.
He further says:
- On the 16th instant, a young Englishman from Canada, under British protection papers, named MONGHAM, was arrested, who proves to be a messenger between JACOB THOMPSON, Capt. HIRES. Brig.-Gen. WALSH, and the guerillas of Col. JESSE, of Kentucky.
An examination of many of the persons so arrested, show beyond all doubt that the “Sons of Liberty”is a treasonable, widely extended and powerful organization, touching into almost, if not all the counties of this State that it is an organization of two branches, one civil, the other military, the mem-branch; that important secrets in relation to military plans and the location of the depots for arms were carefully guarded from persons of civil membership, though even they well knew that the organization had such depots and was animated with a spirit of intense hostility to the government; that many of its leaders must have known of the intended attack on this camp and city, and that some of them have actually been in consultation face to face with men whom they knew to be rebel officers, conspiring to produce a revolution in the Northwest.
A schedule is hereto attached number four, which is believed to contain the names of some of the leading and most dangerous men belonging to this organization in the several counties of the auto of Illinois.
I respectfully recommend that the officers of the rebel army, and as many of the “Sons or Liberty” and guerrillas above-mentioned, as the interests of the government may require, be tried before a military commission and punished.

- Five Unidentified Confederate Prisoners in Front of Their Barracks at Camp Douglas
Daguerreotype
1862-1864
Confederate Veteran, Vol. 9, No. 1, January 1904
ESCAPE FROM CAMP DOUGLAS
R. D. Rugeley, Bowie, Tex., sends account by J. Knox Thomas of his escape from prison. Mr. Thomas is one of Bowie’s very best citizens, and absolutely trustworthy. He relates his experience:
I was a private in Company H, Fifty-Fifth Georgia Infantry. My company was raised in Randolph and Stewart Counties, Ga., was commanded by Capt. John Allen, whose field officers were Col. Harkey, Lieut. Col. Persons, and Maj. Printup.

On September 9, 1863, while in Frazier’s Brigade, Buckner’s Division, we were captured at Cumberland Gap, and after a tedious journey, were landed in Camp Douglas, a prison in the suburbs of Chicago. In that prison, on Christmas day, 1864, I was walking across the open premises with Bill James, of Company A. of my regiment, and I remarked that if I could only scale the walls I would turn my head toward Dixie. He replied that he could easily arrange for us to scale the wall, but we had no money and no citizen’s clothes. I was a shifty little red-headed fellow, and could generally raise a small amount in case of an emergency, and had already bought me a suit of citizen’s clothes from a Yankee soldier. I told James that I had the money and would get the clothes, but wished to know how he proposed to scale the wall. His scheme was this: he was a laborer in the kitchen department, and the kitchen superintendent, an old Irishman nick-named “Old Red.” had placed a couple of scantlings parallel along the wall of the kitchen, on the ground, for some barrels to rest on, and James proposed to nail some pieces of plank on the scantlings and thus make a ladder. Seeing that his plan was feasible, I then said : “All right; we will go to-morrow night at seven o’clock, by which time I will have the clothes ready. James then replied that we could not hoist the ladder up on the wall by ourselves, and said we would have to get two more companions. I then said: “You choose one of them, and I will choose the other.” He chose Hope Williams, of his own company (A), and I selected Ben Johnson, otherwise known as “Babe” Johnson, of my own company (H). At the appointed time we met at the kitchen, and I was chosen to walk out and see if any of the inside police were near; and if they were, I was to quietly return; if they were not, I was to walk quickly back, pass the kitchen door, whistle, and pass on toward the prison wall to Barracks No. 72, where they were to follow with the ladder. I quietly took the walk, found no police, hurried hack as agreed, and in a few minutes we had the ladder up against the wall. As we accomplished this a sentinel halted us; Babe Johnson instantly sprang on the ladder, and was killed by the sentinel. As Johnson staggered and fell back, James mounted the ladder, followed by Williams and myself, and we all three escaped amidst a shower of bullets. We were clad with citizen’s clothes, purchased by me from the Yankee soldier, and we safely reached the city, and registered at the Sherman House in our own names, but as hailing from Louisville, Ky.
We remained at the Sherman House until five o’clock, the 27th inst, when we took a train for Detroit. We reached Detroit on the 28th, and immediately crossed the river to Windsor, Canada, where we were under the British flag. From Windsor we proceeded by various points to Halifax. At Halifax we sailed for the Bermuda Islands on a British brig, and reaching them we went to Nassau, on the Bahama Islands, and from Nassau we went to Havana.
At Havana I sat for my “photo,” which is herewith submitted for the inspection of my surviving comrades. We remained in Havana two weeks, and then shipped on the blockade runner Fox for Galveston, Tex. Sometime in March we reached Galveston, and in attempting to enter the port our vessel was shot to pieces by the blockading fleet, but we managed to reach the shore safely. From Galveston we went to Marshall, Tex., where James decided to remain. Williams and I proceeded to Shreveport, and thence down the river by steamer to Alexandria. From Alexandria we took it “afoot” across the country to the Mississippi, and crossed it in a blockade skiff. Continuing, we reached Meridian, and there learned for the first time that the war was ended. We journeyed to Montgomery, thence to Eufaula, and across the Chattahoochee to Georgetown, where Hope Williams left me for his home, in Baker County, Ga., and I went to my home, in Randolph County.
My present home is Bowie, Montague County, Tex., and should be delighted to hear from any of my old comrades and especially James and Williams.
Aftermath: After the war, Thomas married Nancy Elizabeth Cowart (1848-1926), and they eventually moved to Texas, where they settled in Montague County. Knox Thomas died on February 27, 1930, at the age of 85. Both he and Nancy are buried in Restland Cemetery at Olney, Texas.
Private Benjamin “Babe” Johnson was not killed outright; Federal records show he lingered for more than two weeks, finally dying on January 13, 1865. He was buried in Grave 470, Block 2, Chicago City Cemetery. His remains were probably among those later exhumed and reinterred at Oakwoods Cemetery. Benjamin Johnson CSR, National Archives.
Fox was a well-known blockade runner, under the command of Simpson A. Adkins.
THE FIRST PRISONERS.
In February, 1862, the battle of Fort Donelson was fought and the government found itself with thousands of confederate prisoners on its hands. It was decided to place them in Camp Douglas, and shortly after the battle between eight and ten thousand Southrons were sent to Chicago. The prisoners were, as a rule, miserable, disheartened, ragged, and wretched. A public meeting was called soon after their arrival and all the help possible was given. A relief committee was appointed, with Thomas B. Bryan as treasurer, and medicines and delicacies were sent to the camp by the wagon load. A little later several thousand federal troops who had been captured and afterwards paroled, arrived at the camp. The paroled soldiers were unruly under strict military discipline, and at one time attempted to burn the barracks and escape. A change in commanding officers, however, put an end to this discontent. In 1863 the barracks of Camp Douglas were overcrowded. Several volunteer regiments were obliged to camp on the open prairie to the west of the camp, and at one time, including the prisoners, there were moren than 30,000 men under arms in the vicinity.
Among the confederate prisoners were many of Hood’s and Morgan’s famous raiders. The sudden change of climate in the midst of winter had a disastrous effect, and though good rations were provided and the sanitary arrangements were good, camp fever, and pneumonia counted their victims by the hundreds, the deaths averaging six a day.
By April, 1863, all the confederate prisoners had been removed, except a few too ill to go, and the camp was nearly vacant, only the Ninth Vermont and a few companies of paroled troops remaining. In the following summer, however, the barracks were again filled with confederate prisoners. These prisoners were set to work to insure the security of their own confinement. They were forced to build a fence twelve feet high about the entire camp, with a platform four feet from the top, for the use of the sentries. In spite of these precautions, however, a number of prisoners escaped during the next few months. It was during this period that the celebrated “gophers” conducted their operations. Their plan of procedure was to remove the board flooring of their barracks, dig down a few feet, and then burrow out until they had passed the fence. Fifteen or twenty of the prisoners were usually involved in each attempt to escape by burrowing. It was the duty of the leader to crawl out through the tunnel, and with only his head above ground observe the whereabouts of the nearest sentinel. When the guard walking his regular beat got out of the way for a moment the leader popped out if his hole to freedom, and as many as possible followed him. In November, 1863, more than seventy prisoners escaped in this way. In the last month of this year eight companies of the Veteran Reserve Corps and a regiment of the Michigan Sharpshooters were ordered to Camp Douglas as additional garrison, and the work of the “gophers” was finally stopped almost completely.
On Jan. 1, 1864, there were 5,650 confederates confined at Camp Douglas, and during the year more than 7,000 additional prisoners were sent there. New barracks were erected and every effort was made to put the camp in as good a sanitary condition as possible. In spite of these efforts, however, smallpox and other diseases made terrible ravages in the ranks of the prisoners, 1,256 dying during that year.
Copperhead Conspiracies.
It was in 1864 that the two plots for the relief of the 11,000 prisoners confined in Camp Douglas were formed. The men, with the assistance of their rescuers, were to start and attack in the rear, with the intention of entirely overthrowing the government of the United States. In May, 1864, Jacob Thompson of Mississippi, who had been Secretary of the Interior during the administration of President Buchanan, went to Windsor, Canada, and under the assumed name of Captain Carson, having been supplied with large sums of money for the purpose by the confederate government, started to organize an expedition to release prisoners of war in the various prison camps of the United States in the Northwest. He also arranged to aid the “Knights of Liberty,” an organization of secessionists in the North, with arms and money, to the ned that they might raise an insurrection—starting in Chicago—against the United States government. On the 29th of August the Democratic convention was scheduled to meet in Chicago, and it was thought that large bodies of men secretly armed might be brought into the city at that time without exciting suspicion. On the 24th of August, many escaped prisoners and rebel sympathizers, after having been furnished with arms in Canada, gathered in Chicago, making their general headquarters at the Richmond Hotel. In addition to these leaders the “Sons of Liberty,” under the direct command of Brigadier General Charles Walsh, at one time a Democratic candidate for Sheriff of Cook County, were armed and ready for attack. t the time it was estimated that there were about 2,000 members of the order in Chicago. They were to be further aided by a miscellaneous mob of malcontents and disunionists.
Col. Benjamin Sweet, in command of Camp Douglas, had, however, been kept fully advised of the progress of the conspiracy. In plenty of time he asked for reinforcements and they were sent. An entire Pennsylvania regiment, together with four companies of a another regiment, and an Ohio battery were ordered to Camp Douglas. On the day set for the insurrection the troops were stationed so that at the first alarm they could command Camp Douglas with their guns, and all preparations were made to give the emigrants from Canada a warm reception. As a result the leaders became frightened and the day of the convention passed without the least excitement. Shortly after most of the troops which had been sent as reinforcements were sent home. In October, however, though deserted by their outside allies, the 11,000 prisoners confined in the camp made a determined attempt to escape. Out if the whole number of 100 had volunteered to practically sacrifice themselves in a fierce attack on the guard. In the excitement, which followed, it was thought that most of those remaining would be able to make their escape. A spy, however, brought advance news of the plot to the commandant. He posted his forces accordingly. When the brave 100 advanced to the attack they were met with a fire so sweeping that the attempt to break out was immediately suppressed.
The Final Plot.
But not even then had the plots of the Southern leaders in Canada and the more despicable conspiracy of the disloyal sympathizers in Chicago reached their limit. It was determined to take advantage of the excitement resulting from the Presidential election in November, 1864, to make another and even bolder attempt to loose the prisoners confined in Camp Douglas and to give to the government of the United States a blow from which it would not easily recover. The plan was to release the prisoners, to stuff the ballot boxes so that the city, county, and State might be carried for McClellan, and then to sack and loot the city, burning everything they could not carry away with them into the territory of Jeff Davis.
On the 6th of November a large number of the “Sons of Liberty” arrived in Chicago, most of them coming from the southern part of the State. They were armed and were ready for desperate work. Brigadier General Walsh was again in command of these forces. They were supplemented by a considerable number of confederate soldiers, who, in one disguise or another, had managed to get into the city.
At the time there were only 800 federal troops in Chicago, and most of them were needed to guard the more than 8,000 prisoners confined at Camp Douglas. Colonel Sweet, the commandant, was again advised of the progress of the conspiracy, and realized that the situation was desperate. He finally concluded that the only chance of safety lay in taking the conspirators by surprise. On the night before election he sent squads of men to the house and hotels where the leaders were quartered and placed them under arrest. As a result the plotters were overawed and no attempt was made to carry the carefully laid plan to its consummation, though on election day a hastily organized body of mounted militia patrolled the city in readiness for an outbreak.
The prisoners arrested by Colonel Sweet were afterward tried by a military commission which met in Cincinnati, and most of them were found guilty. In one case the death penalty was prescribed, but it was afterward commuted to imprisonment for life on the Dry Tortugas.
The fall of Richmond in the spring of 1865 and the subsequent collapse of the rebellion did not immediately cause the evacuation of Camp Douglas as a military post. Gradually, however, the confederate prisoners confined there were released after taking the oath of allegiance to the government of the United States, and by August, 1865, there were only a couple hundred left, most of them too ill to be removed. Until October the camp was used as a rendezvous for federal troops returning from war, but after that time it was practically deserted. In November of that year the government property was sold and Camp Douglas ceased to exist.
NOTES:
1 “Secesh” is an American Civil War-era, primarily Northern, colloquial term (short for “secessionist”) for someone who supported the Confederacy or favored secession. The term was used to describe people, troops, and sympathizers, with peak usage around 1860–1861.
Leave a Reply